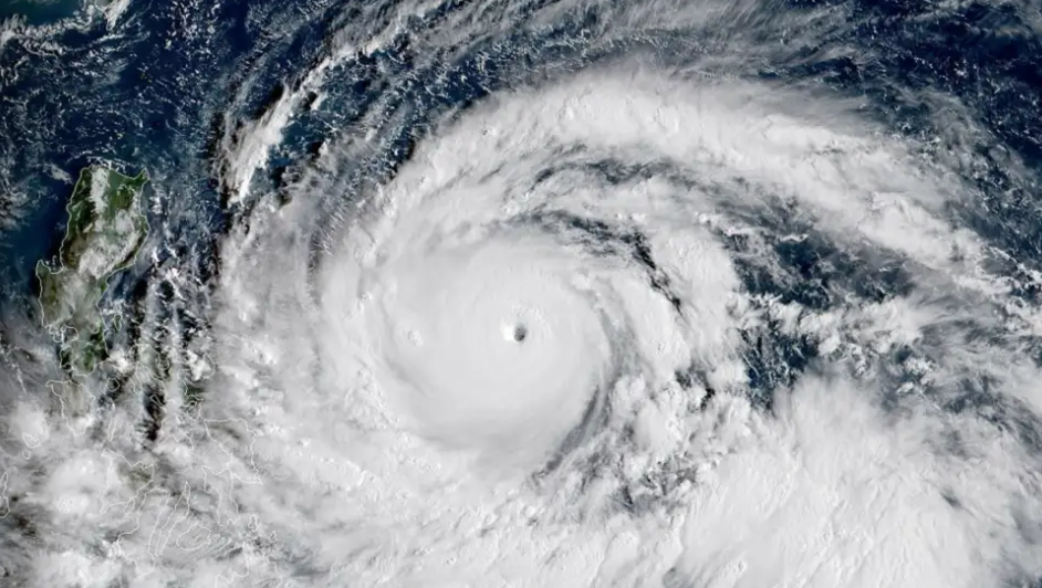
El supertifón Ragasa, la tormenta más potente registrada este año, tocó tierra este lunes en el norte de Filipinas con vientos que superaron los 265 kilómetros por hora, desatando alarma en varios países asiáticos. Se prevé que en los próximos tres días la tormenta recorra el Mar de China Meridional, obligando a cientos de miles de personas a abandonar sus hogares y provocando la suspensión de vuelos, cierre de escuelas y paralización parcial de ciudades enteras.

En Filipinas, Ragasa alcanzó la categoría 5 al tocar tierra en la provincia de Cagayan, con vientos sostenidos de 215 km/h. La amenaza inmediata llevó al desalojo preventivo de unas 10.000 personas en la región y en áreas céntricas, incluida Manila. La navegación en zonas vulnerables fue prohibida y se cancelaron más de una decena de vuelos nacionales. Mientras tanto, el ojo del tifón se encontraba a unos 300 kilómetros de Taiwán, donde las autoridades elevaron los niveles de alerta y comenzaron a evacuar a cerca de 1.800 residentes ante el riesgo de desbordamiento de lagos y fuertes lluvias.
Hong Kong y Shenzhen también se preparan para enfrentar el embate del fenómeno meteorológico. En la ciudad hongkonesa, el aeropuerto internacional de Chek Lap Kok canceló más de 500 vuelos, afectando a cientos de miles de pasajeros y paralizando casi por completo la actividad aérea. Shenzhen, con 17 millones de habitantes, anunció la evacuación de unas 400.000 personas, mientras las autoridades implementan suspensiones parciales de clases, trabajo, transporte y comercio para proteger a la población.
Vietnam, aunque espera que Ragasa llegue debilitado el jueves, también activó medidas preventivas en varias provincias del centro y norte del país, buscando reducir al mínimo los riesgos ante la llegada del fenómeno.
La intensidad y rapidez de Ragasa recuerdan la vulnerabilidad de las regiones asiáticas ante fenómenos extremos y la importancia de la preparación temprana. Mientras millones de personas se resguardan y se ajustan a las medidas de seguridad, la tormenta se perfila como un recordatorio de la fuerza de la naturaleza y del desafío que implica proteger vidas frente a su poder devastador.
Este artículo fue publicado originalmente en EFE y está protegido por derechos de autor. Todos los derechos reservados a EFE. Puedes consultar el artículo original en su (https://efe.com)